L#6797
$35,000 USD

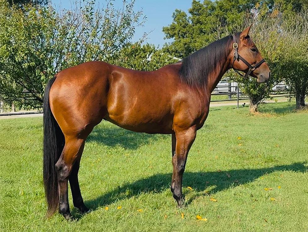
Whistlen Boon Dox

Youth suitable
Futurity eligible
Lifestage: Living
Registration Status: Registered
Breed: Quarter Horse
Birth Year: 2021
Color: Bay
Sex: Mare
Disciplines: Barrel Racing
Location: Yatesville, Georgia, United States
Transport: Buyer’s Expense

Eligible Incentives

Barrel Racing: Pink Buckle, Ruby Buckle, Royal Crown, Breeders Challenge, Future Fortunes, Diamond Classic

Contact Information

Name: Abby Gray
Information provided by customer. Information on this listing is not verified. Please contact seller for verification of all information.

Description

Booma is an extremely willing and talented mare with all the right moves to make a jam up barrel horse. She is in your pocket, not mareish at all but is all business sending down the alley way. With her solid mind & build, she could easily excel as a highschool/college rodeo horse when she is finished out. No quirks or bad vices. Hauls like a pro and very easy going. She has been very lightly entered (5 times since January) and has clocked 1-1.5 second off with bad ground and/or arena records getting broken. She is started right and ready to go on with her person.

Pedigree

Sire

Streakin Boon Dox

 

 

Sire’s Sire

Streak Of Fling

Sire’s Dam

Pc Joesy Dox

Sire’s Sire’s Sire

Streakin Six

Sire’s Sire’s Dam

Moon Fling

Sire’s Dam’s Sire

Boon Dox John

Sire’s Dam’s Dam

Joesys Rose

Dam

Bid On Whistle

 

 

Dam’s Sire

Pc Frosty Bid

Dam’s Dam

Whistle Whisper

Dam’s Sire’s Sire

Sun Frost

Dam’s Sire’s Dam

Gee Gee Decade

Dam’s Dam’s Sire

No Whistle

Dam’s Dam’s Dam

Chanceys Whisper