L#6291
$15,000 USD

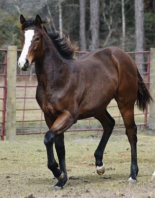
Ad Frenchkissin Hoss

Calm Minded, Well-Balanced, and Built Right
Excellent Conformation for a Future Stallion
Lifestage: Living
Registration Status: Registered
Breed: Quarter Horse
Birth Year: 2025
Color: Bay
Sex: Stallion
Disciplines: Barrel Racing, Pole Bending, Roping
Location: Leesville, Louisiana, United States
Transport: Buyer’s Expense

Eligible Incentives

Barrel Racing: Ruby Buckle, Breeders Challenge, Future Fortunes, Triple Crown, Select Stallion Stakes, Blue Collar Breeders

Contact Information

Name: Donnia Barrow
Information provided by customer. Information on this listing is not verified. Please contact seller for verification of all information.

Description

Ohno is paid into Ruby Buckle, Future Fortunes, and The Breeders Challenge. Exceptionally sweet and very docile for a stud colt, he shows all the signs of a great-minded future stallion prospect.

Handled since day one — leads, loads, ties, stands for the farrier, UTD on vaccinations, and wormed monthly. Correct, straight legs, great feet, and a big blaze to match his flashy blood-bay color with plenty of chrome. String tested to mature around 16hh. A true head-turner with brains to match.

Pedigree

Sire

Mcm Imahoss

His progeny has made an impact in the barrel

racing industry with earnings of $216,000

Sire’s Sire

Tres Seis

Sire’s Dam

Mulberry Canyon Moon

Sire’s Sire’s Sire

Sixarun

Sire’s Sire’s Dam

Our Third Delight

Sire’s Dam’s Sire

Marthas Six Moons

Sire’s Dam’s Dam

De Streaker

Dam

Frenchmanssignature

Belle oldest foal is coming alone great in

the barrel pen

Dam’s Sire

Pc Frenchmans Hayday

Dam’s Dam

Miss Signa

Dam’s Sire’s Sire

Sun Frost

Dam’s Sire’s Dam

Caseys Charm

Dam’s Dam’s Sire

The Signature

Dam’s Dam’s Dam

Streaking Dash Miss