Oh no! This horse is no longer available
Are you interested in something similar?
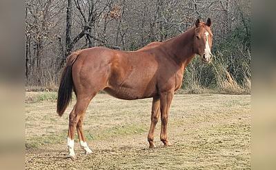
L#2306

Love The Fame

1D Open Reserve / 1D Youth Champion
Embryo transfer or ICSI only
Lifestage: Living
Registration Status: Registered
Breed: Quarter Horse
Birth Year: 2005
Color: Sorrel
Sex: Broodmare
Broodmare Status: Open
Disciplines: Barrel Racing
Location: Millsap, Texas, United States

Contact Information

Name: Josh Schley
Information provided by customer. Information on this listing is not verified. Please contact seller for verification of all information.
Sold

Description

This mare is super kind and a good mother. Last baby she physically carried was born April 2024. We have been successful with ICSI process with her recently.

Pedigree

Sire

Dash Ta Fame

 

 

Sire’s Sire

First Down Dash

Sire’s Dam

Sudden Fame

Sire’s Sire’s Sire

Dash For Cash

Sire’s Sire’s Dam

First Prize Rose

Sire’s Dam’s Sire

Tiny’s Gay

Sire’s Dam’s Dam

Bar Dearie

Dam

Loves To Rock

 

 

Dam’s Sire

Rocky Jones

Dam’s Dam

Tennessee Breeze 76

Dam’s Sire’s Sire

Moon Lark

Dam’s Sire’s Dam

Jet Venture

Dam’s Dam’s Sire

Moonsplash 68

Dam’s Dam’s Dam

Tennessee Wind 70